Enlaces de accesibilidad

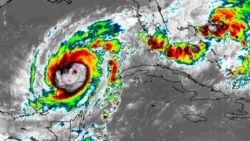
Trayectoria del huracán Milton

Así fue el paso del Huracán Milton por Florida y la costa norte occidental de Cuba

Actualizaciones del huracán Milton en vivo, incluyendo su trayectoria, alertas y avisos. Manténgase informado sobre las condiciones actuales en Cuba y Florida, riesgos de marejadas ciclónicas, tornados e inundaciones, pronósticos de lluvias y evacuaciones en Tampa, Fort Myers y Orlando.

12:49 9.10.2024

Tornados, otro de los grandes peligros del huracán Milton

Mientras el poderoso huracán Milton avanza hacia Florida, la tormenta está provocando condiciones meteorológicas severas en todo el estado, incluso en Miami.

El Servicio Meteorológico Nacional de Miami compartió fotos de un tornado cruzando la Interestatal 75 el miércoles mientras los automóviles circulaban por la autopista.

12:22 9.10.2024

Advertencias de tornados

Desde la Cuenta oficial de la red social X, el Servicio Meteorológico Nacional de Miami-Sur de Florida alerta a los residentes : **¡Tome en serio las advertencias de tornado que estamos emitiendo lo más rápido posible!**.

"Este es un entorno muy favorable para tornados peligrosos y de rápido movimiento", advirtieron los expertos.

11:43 9.10.2024

En El Guayabo, Pinar del Río, no han sentido los embates de Milton

Residentes de la comunidad El Guayabo, a pocos kilómetros de la ciudad de Pinar del Río, no han sentido la intensidad del huracán Milton, cuya trayectoria se encuentra en mares próximos al occidente de Cuba, dijo a Martí Noticias la activista Daudi Hermelo, quien allí reside.

Escúchala aquí:

En el Guayabo, Pinar del Río, no han sentido los embates de Milton
please wait

No media source currently available

0:00 0:00:52 0:00

11:35 9.10.2024

El meteorólogo Alfredo Finalé actualiza para Martí Noticias la situación del huracán Milton

El poderoso huracán Milton se acerca rápidamente a Florida y está generando fuertes marejadas e inundaciones costeras en el litoral norte occidental de Cuba, incluyendo el Malecón habanero.

Peligro extremo: Se esperan marejadas ciclónicas destructivas con inundaciones de más de 10 pies a lo largo de la costa oeste y el centro de la Península de Florida.

¡Es crucial mantenerse informado y seguir las recomendaciones de las autoridades para protegerse! Este fenómeno traerá consigo inundaciones masivas y condiciones potencialmente catastróficas.

Cargar más

XS
SM
MD
LG